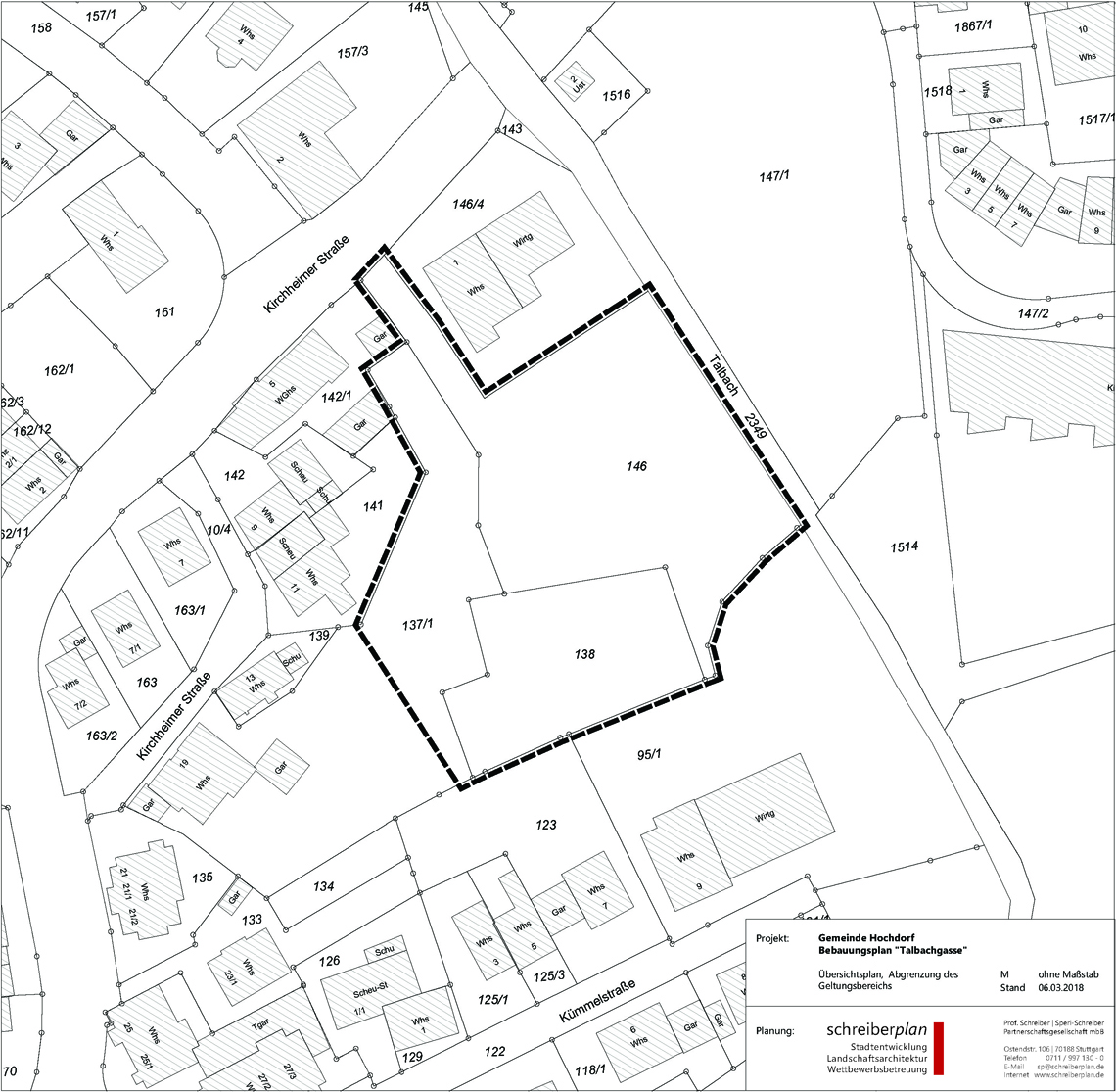
Gemeinde Hochdorf

Bebauungsplan "Talbachgasse"

Entwicklung eines Baugebiets mit sieben Grundstücken im Ortskern der Gemeinde in direkter Nachbarschaft zum Talbach.

Der Gemeinderat der Gemeinde Hochdorf hat am 20.03.2018 in öffentlicher Sitzung den Aufstellungsbeschluss für den Bebauungsplan mit Satzung über örtliche Bauvorschriften "Talbachgasse" im beschleunigten Verfahren gem. § 13a BauGB (Bebauungsplan der Innenentwicklung) gefasst.

Der Satzungsbeschluss des Bebauungsplans mit örtlichen Bauvorschriften erfolgte in der öffentlichen Gemeinderatssitzung am 11.12.2018.

zurück